
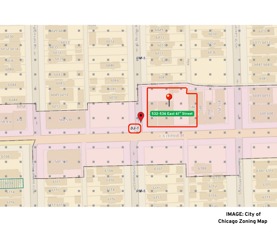
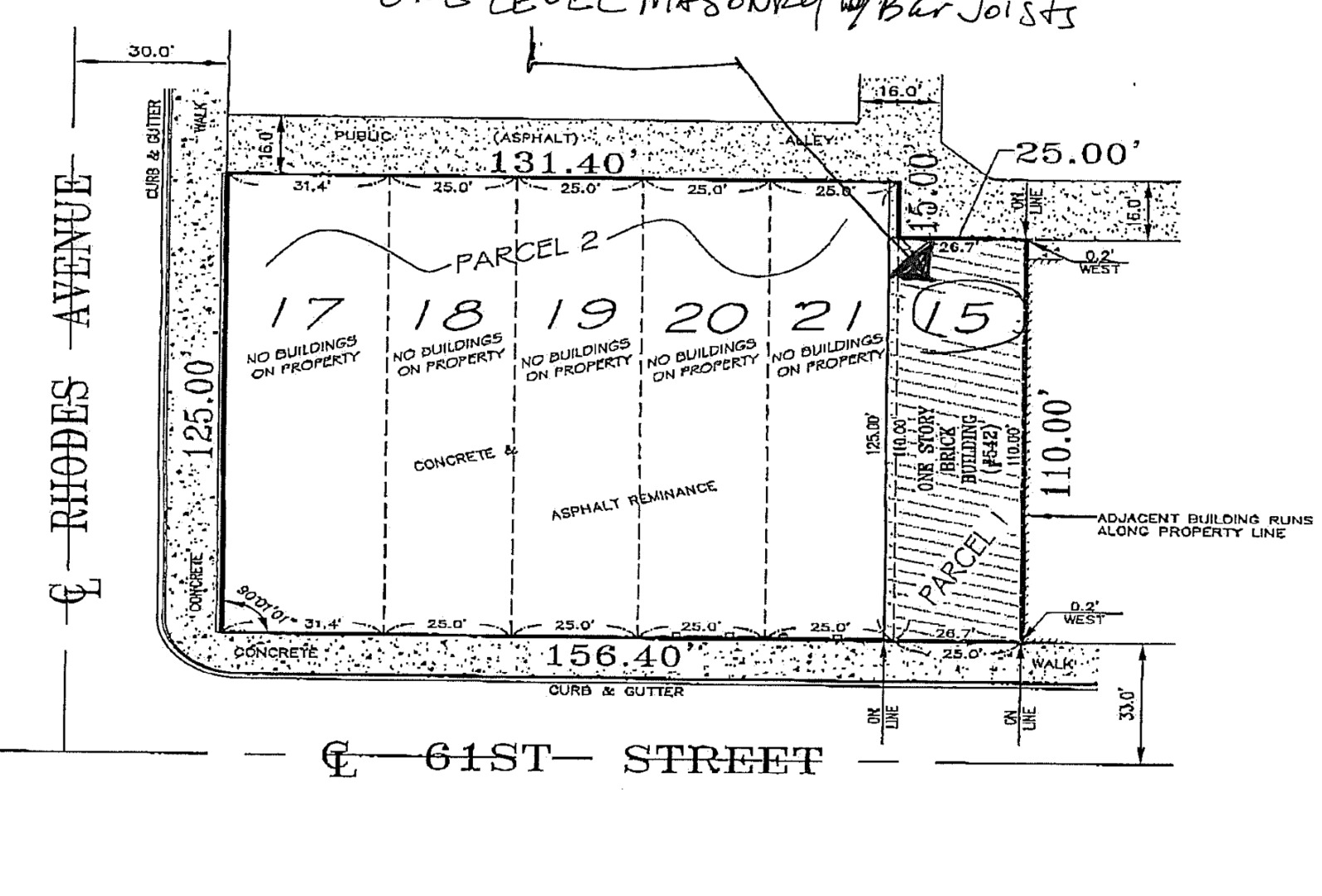
Prime Development Opportunity in rapidly redeveloping Woodlawn at 532-536 E. 61st St. Exceptional opportunity to acquire a large corner lot (approx. 19,175 sq. ft.), with 156 Feet of Frontage on 61st Street and 125 Feet on Rhodes, just steps from 383-acre Washington Park, and less than half a mile from the University of Chicago. With a Minimum Lot Area/Per Unit of 2,500 sq. ft. and current B2-1 zoning, the site is ideally suited for development. Per the City of Chicago Zoning Code: "17-3-0103-B The B2 district permits residential dwelling units on or above the ground floor." This zoning flexibility makes the property especially attractive for development. The seller is also offering a second large corner site at this intersection (MLS #12454285), presenting a rare chance to acquire two prime development parcels in one of Chicago's most dynamic growth corridors. Highlights & Neighborhood Advantages: Excellent proximity to the University of Chicago South Campus and to the Obama Presidential Center. Unmatched CTA Green Line connectivity, offering direct access to IIT, the Loop, Fulton Market, United Center, and beyond. Strong market demand for housing near train-accessible sites. Surrounded by successful recent redevelopments, including the Jewel-Osco at 61st & Cottage Grove. Walkable to the University of Chicago campus, Logan Center, UChicago Medicine, Midway Plaisance, and two nearby Green Line stations. Just one mile from the Lakefront. With Woodlawn's revitalization well underway, this property offers tremendous potential for developers and community builders alike. Bring your vision and be part of Woodlawn's future.
| MLS # | 12454210 |
|---|---|
| Listing Type | For Sale |
| Sub-Type | Resale |
| Status | Active |
| Days On Site | 74 |
| Listing Provided By | Exit Strategy Realty / EMA Management | Wayne Beals |
| Parking Features | Off Alley |
|---|
| Utilities | Electricity Nearby, Natural Gas Nearby, Water Nearby, Cable Available |
|---|
| Tax Year | 2023 |
|---|---|
| Tax Annual Amount | 5074 |
| State | IL |
|---|---|
| County | Cook |
| City | Chicago |
| Zip Code | 60637 |
| Area | CHI Woodlawn |
| State | IL |
|---|---|
| County | Cook |
| City | Chicago |
| Zip Code | 60637 |
| Area | CHI Woodlawn |